Baugrundstücke in Pottendorf – Ihr Projekt nahe Wien | Doppelhaus möglich!

Grundstück - Baugrund Eigenheim, 2486 Pottendorf


Pottendorf / 20 Minuten zur Wiener Stadtgrenze!

Beschreibung der Immobilie

Baugrundstücke in Pottendorf – Ihr Projekt nahe Wien | Doppelhaus möglich!

Baugrundstück in Pottendorf – Perfekt für Ihr Doppelhausprojekt nahe Wien!



Lage



In attraktiver Wohnlage von Pottendorf (Niederösterreich) gelangt dieses hervorragend geschnittene Baugrundstück zum Verkauf. Die Wiener Stadtgrenze erreichen Sie in nur ca. 20 Minuten – ideal für Pendler, die ruhiges Wohnen im Grünen mit Stadtnähe verbinden möchten. Die Grundstücke befinden sich in unmittelbarer Nähe des Kindergartens.




 Grundstücksdaten



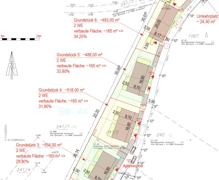
  • Grundstücksfläche: ca. 518 m²
  • Widmung: Bauland – Wohngebiet (A4)
  • Bebauung: gemäß NÖ Bauordnung
  • Bauweise: keine spezifischen Vorgaben laut aktuellem Stand
  • Aufschließung: noch nicht erfolgt (Kosten sind vom Käufer zu tragen)
  • Errichtung einer Privatstraße, die Kosten werden anteilsmäßig aufgeteilt   
  • 2 Wohneinheiten möglich, jeweils 2 PKW Stellplätze



Kaufpreis & Nebenkosten



  • Kaufpreis: € 199.000,-
  • Provision: 3 % zzgl. 20 % USt
  • Aufschließungskosten: 18.776,68 ,- 


Nebenkosten:



  • Grunderwerbsteuer: 3,5 %
  • Grundbucheintragungsgebühr: 1,1 %
  • Vertragserrichtungskosten: 1,5 % 



Lage & Infrastruktur



Pottendorf überzeugt durch:



  • ruhige, familienfreundliche Umgebung
  • gute Verkehrsanbindung Richtung Wien und Wiener Neustadt
  • Nahversorgung, Kindergarten, Schulen und Freizeitmöglichkeiten in unmittelbarer Nähe



Highlights auf einen Blick



✔ Nähe zu Wien (ca. 20 Minuten)

✔ Ideale Grundstücksgröße für Doppelhaus

✔ Ruhige Wohnlage im Grünen

✔ Attraktive Investitionsmöglichkeit



Verfügbare Grundstücke



Aktuell stehen folgende Grundstücke zur Auswahl:

 



  • Grundstück 3: ca. 554 m² – € 209.000,-
  • Grundstück 4: ca. 518 m² – € 199.000,-
  • Grundstück 5: ca. 488 m² – € 189.000,-
  • Grundstück 6: ca. 483 m² – € 185.000,-



? Kontakt & Besichtigung



Interesse geweckt?



Für weitere Informationen oder einen unverbindlichen Besichtigungstermin freuen wir uns über Ihre Kontaktaufnahme!



Herr Uyar Herr Bigus
? 0699 / 17 1059 18 ? 0699 / 12 471 592
? uyar@immobilienquartier.at ? bigus@immobilienquartier.at




Wir bitten um schriftliche Anfragen unter Angabe Ihrer vollständigen Kontaktdaten (Name, Adresse, Telefonnummer).




Hinweis:



Die Angaben erfolgen auf Basis der uns zur Verfügung gestellten Informationen und sind ohne Gewähr. Änderungen und Irrtümer vorbehalten.

Die Vermittlung erfolgt als Doppelmakler. Die Provision wird erst im Falle eines erfolgreichen Kaufabschlusses fällig.

Infrastruktur / Entfernungen

Gesundheit
Arzt <500m
Apotheke <500m
Klinik <6.000m

Kinder & Schulen
Kindergarten <1.000m
Schule <1.500m

Nahversorgung
Supermarkt <500m
Bäckerei <500m

Sonstige
Bank <500m
Geldautomat <500m
Post <500m
Polizei <500m

Verkehr
Bus <500m
Bahnhof <1.500m
Autobahnanschluss <1.500m

Angaben Entfernung Luftlinie / Quelle: OpenStreetMap

Eckdaten Objektnr. 5572

Art: Grundstück - Baugrund Eigenheim
Land: Österreich
Kaufpreis: 199.000,00
Kaufpreis / m²: 384,17 €
Grundstücksfl.: 518,00 m²
Nebenkostenübersicht Kauf Immobilie merken Exposé

Immobilie anfragen


Ihre persönliche Beratung

Immobilienquartier

Peter Bigus

immobilienquartier IQ OG

T +43699 124 715 92

H +43699 124 715 92