Ihr Traum vom Eigenheim - Bauland in Pottendorf

Grundstück , 2486 Pottendorf , Getreidestraße


Beschreibung der Immobilie

Ihr Traum vom Eigenheim - Bauland in Pottendorf

Zum Verkauf gelangt dieses besonders ansprechende Grundstück in Pottendorf zum Verkauf.

Die Liegenschaft überzeugt durch ihre ruhige Umgebung, eine gewachsene Nachbarschaft sowie durch das attraktive Entwicklungspotenzial für zukünftige Eigentümer.



Das Grundstück bietet ideale Voraussetzungen zur Verwirklichung eines Eigenheims. Die Umgebung ist geprägt von gepflegten Einfamilienhäusern und viel Grün –

ein Umfeld, das sowohl Ruhe als auch hohe Lebensqualität verspricht.



Die Lage verbindet ländliche Idylle mit guter Infrastruktur: Einkaufsmöglichkeiten, Schulen, Kindergarten sowie öffentliche Verkehrsanbindungen sind in wenigen Minuten erreichbar. Gleichzeitig profitiert man von der Nähe zu größeren Zentren wie Wien und Wiener Neustadt, die sowohl beruflich als auch kulturell zahlreiche Möglichkeiten bieten.



Besonders hervorzuheben ist das große Potenzial dieses Grundstücks: Hier bietet sich die seltene Gelegenheit, in einer ruhigen und zugleich gut angebundenen Lage ein neues Zuhause nach eigenen Vorstellungen zu realisieren.



Ein Platz, an dem Wohnen, Lebensqualität und Zukunft perfekt zusammenfinden.



Bebauungsbestimmungen:




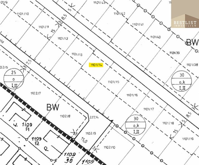
  • Widmung: BW (Bauland Wohngebiet)



  • Bebauungsdichte: 30%



  • Bauweise: offene, gekuppelte Bauweise



  • Bauklasse: I, II

     




Wir freuen uns auf Ihre Anfrage und stehen Ihnen für weitere Informationen oder eine Besichtigung jederzeit gerne zur Verfügung.





Unser nachhaltiger Denkansatz sieht auch die Vermeidung unnötiger Ausdrucke in Papierform vor. Daher geben Sie uns bitte Bescheid, ob Sie die Unterlagen in gedruckter Form ausgehändigt haben möchten oder ob wir sie Ihnen einfach per E-Mail zusenden sollen. Wir richten uns gerne nach Ihren Wünschen!



 


Wir weisen darauf hin, dass zwischen dem Vermittler und dem zu vermittelnden Dritten ein familiäres oder wirtschaftliches Naheverhältnis besteht.


Der Vermittler ist als Doppelmakler tätig.

Infrastruktur / Entfernungen

Gesundheit
Arzt <750m
Apotheke <500m
Klinik <5.250m

Kinder & Schulen
Kindergarten <750m
Schule <1.000m

Nahversorgung
Supermarkt <750m
Bäckerei <500m

Sonstige
Bank <500m
Geldautomat <500m
Post <500m
Polizei <750m

Verkehr
Bus <250m
Bahnhof <1.000m
Autobahnanschluss <1.750m

Angaben Entfernung Luftlinie / Quelle: OpenStreetMap

Eckdaten Objektnr. 311056

Art: Grundstück
Land: Österreich
Kaufpreis: 279.900,00
Grundstücksfl.: 689,00 m²
Nebenkostenübersicht Kauf Immobilie merken Exposé

Immobilie anfragen


Ihre persönliche Beratung

BESTLIST Immobilien GmbH

Florian Stift

Friends Immobilien

T +43 2252 25 28 28

H +43 676 51 44 162